
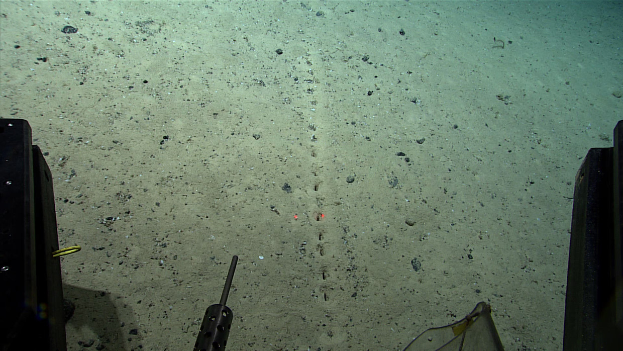
Given the small mounds of sediment surrounding the holes, they appear to have been excavated by “something,” writes NOAA, a US institute that studies oceans. This isn’t the first time scientists have encountered something similar: a similar series of deep-sea holes were found as early as 2004. No trace of the makers was found, not this time either. It shows how inconspicuous life is in the deep sea.
Saturdays # Okyanos Diving, we saw several groups of sublinear holes on the sea floor. Scientists have puzzled the origin of the holes. The holes look man-made, but the small piles of sediment around them indicate that they were drilled by…something.
What is your hypothesis? pic.twitter.com/iGezxV9TK8
– NOAA Ocean Exploration (oceanexplorer) 25 July 2022
It is precisely because of all these question marks that scientists at NOAA sent an unmanned submarine into the depths this year. However, they met last Saturday The first holes in North of the Azores, at a depth of more than 2.5 kilometers. On Thursday, they saw holes again nearly 500 kilometers away, at a depth of more than one kilometer. Humans seem to have nearly perforated the sea floor, and that’s how narrow the pattern is, notes NOAA. Sediment samples were taken with the submarine.
Marine biologists wrote earlier this year that the holes were likely either dug by bottom-dwelling animals or bottom-dwelling organisms that, for example, stick to body parts to feed on. in the magazine Frontiers in marine sciences They describe the holes as rectangular and several centimeters long. They form straight or slightly curved rows, the length of which in some cases reaches several meters. It is not known if they are connected by a tunnel.
In any case, it is clear that “something” has been punching holes in the sea floor for a longer time. There are fossilized holes in petrified pieces of the petrified deep sea floor hundreds of millions of years old. They can form all kinds of patterns: Herringbone, branched or pentagonal honeycomb-shaped structures.
Honeycombs were found on the sea floor as early as 1976. Researchers found them on the eastern side of the Mid-Atlantic Ridge, a 10,000-mile submarine mountain range on the boundary between two drifting tectonic plates. These holes are interconnected with tunnels.
But even in this case it remains to be seen where they come from. It could have been mined by an animal, an international group of researchers wrote, but it could also be the remains of a sponge growing in the soil. In 2009 after a comprehensive analysis. Even genetic research has not yielded any answers. An amazing detail became apparent: these holes have a lip that is shaped in such a way that fresh sea water is constantly pumped through the tunnels due to the movements of the water, and therefore, perhaps also, fresh food.

“Infuriatingly humble social media buff. Twitter advocate. Writer. Internet nerd.”
